MLS®# SK024190

4040 Donald STREET

$9,500.00 CAD
Regina
MLS®# SK024190


Location


Key Details

$9,500.00
Regina

Description

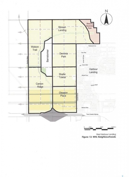
One 25' x 125' undeveloped residential lots in Devonia Park or Phase IV of West Harbour Landing (located west of Harbour Landing and south of 25th Avenue). Investment opportunity only at this time, with potential to build on in the future. Devonia Park is a quarter section of land originally subdivided into 1,400 lots in 1912. Brokerage sign at the corner of Campbell Street and Parliament Avenue. GST may apply to the sale price. More information at the 'West Harbour Landing Neighborhood Planning Report'. There may be other costs once the land is developed.

Listing courtesy of Global Direct Realty Inc.


More Info

City: Regina
Land Size: 3125.00

Total Acres: 0.0717
Listed By: Global Direct Realty Inc.